Kontur Gabari nedir?

Kontur Gabari nedir?
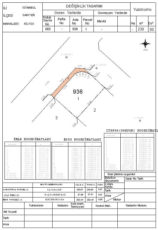
Kontur gabari ; Gabari kelimesinin anlamı, yapılacak bir binanın belediyece öngörülen azami yüksekliğine denir. Mevcut bir binanın parsel üzerindeki zemin oturumunu, ayrıca binanın parsele olan mesafesi ve bina kesitleri ile bina yüksekliğini gösteren belgedir.
Kontur Gabariyi Kim İster ?
Kontur gabari ilgili belediyeler tarafından istenir. Bazı belediyeler kontur gabari evraklarını kendileri hazırlar. Bazı belediyeler ise özel harita büroları tarafından hazırlanmasını ister
Örnek Gabari

ÖNCEKİ KONU
SONRAKİ KONU
BİR YORUM YAZIN
ZİYARETÇİ YORUMLARI - 0 YORUM